今回のアクティビティは、パナリ(新城島)周辺半日のシュノーケリングツアーに参加しました。前回参加した幻の島上陸半日ツアーと比較すると小学校三・四年以上ぐらいからがいいかなと少しレベルが上がるツアーですが、とても充実したすごく楽しいシュノーケリングができるツアーでした。今回はこのパナリ半日シュノーケルアクティビティについてブログで紹介したいと思います(写真サイズ大きく更新25年9月)。

パナリ周辺優雅な半日シュノーケリングツアー
リゾナーレ小浜島アクティビティーパナリ公式サイト

リゾナーレ小浜島からの申し込みですが、実際は小浜島の外部業者に委託したツアーとなります。
当日の要領は下の通りで、8時20分にフロントに集合して13時過ぎ(13時45分となってますが)にホテルに戻るとうツアーです。

持ち物
・飲み物(ジュース1本ありますがそれに1本500mlの飲み物があればいいと思います。小浜島港の自動販売機で購入できます。氷入りクーラーボックスが各家庭1つ貸出あります)
・水中対応カメラ(Gopro等あるとより楽しくなります)
・タオル(リゾナーレフロントで配布されます)
・酔い止め(絶対に飲んでいった方がいいです)
リゾナーレ小浜島にあるビーチバックが役に立つと思いますよ。

パナリ(新城島)について
竹富町HP
「パナリ」とは新城島の通称で「離れ」という意味。上地島(かみじじま)と下地島(しもじじま)の2つの島から成り立っています。人口は15名前後で、いろいろな伝説が残る神秘的な島です。
小浜島港からは約10キロ程度離れていて船の移動は約30分ぐらいかかります。
パナリ半日シュノーケル紹介
8:30 リゾナーレ小浜島発
送迎バスで小浜島港に向かいます。

9:05 小浜島港発
飲み物やトイレをすませて乗船しパナリへ向かいます。
船は約20名程度が乗船できる船。
もちろん沖に行けば揺れますが、乗り物に弱い家族も酔い止めを飲んでると全く問題ありませした。
おまじないの意味も込めて酔い止めは飲んだ方がいいと思います。


9:40 最初のシュノーケルスポットに到着
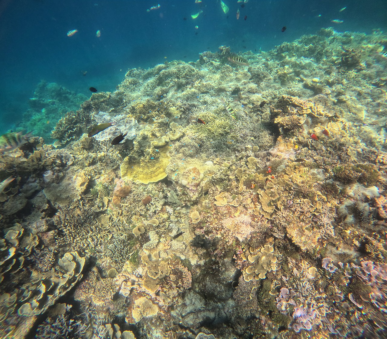
美しい海。透明度が高いため実際の水深より浅く見えますが結構深いところも多くあります(ライフジャケット着用しているので問題ないです)

海の中は、カクレクマノミや多くの珊瑚が生息してまさに海の楽園のようです。





珊瑚は白化しているでしょうかね。
思った以上にカラフルではないですが十分美しさを堪能できます。





次のスポットへ
ここでは赤珊瑚が見ることができます。





最後は島近くでシュノーケリング
皆さんシュノーケリングを楽しんでいます。





3か所をめぐり
12時30分パナリ周辺発13時05小浜島港着
13:25 リゾナーレ小浜島着
その後、LINE登録すると泳いだ時の家族写真をいただけました。
ありがとうございました!
感想
以上のシュノーケリングツアーで大人11500円、子供(6~11歳)8000円。
家族で参加となると少しコストかかりますが、参加するべきアクティビティだと思います。
透明度高い八重山の海、珊瑚にはいろんあ種類の魚、スポットも3箇所で珊瑚や魚の多い所、赤珊瑚が見れる所、島近くといろんな新城島(パナリ)を楽しめました。
前回も聞きましたが、最近石垣付近に直接くる台風が減った事による水温循環不足での水温上昇やそもそも水温が上がったことによる沖縄の珊瑚白化が結構進行しており、お花畑と言うような珊瑚ではなかったですが、珊瑚やそれに群がる魚と一緒に泳げあっという間に過ぎる半日でした。
「前回と比較すると小さい子供も多くいたせりつくせり感ある幻の島半日よりちょっとだけレベル高いけどその分面白い」という感じですね。
両方に参加した結果、初めてもしくは小さい子供がいるなら「幻の島半日シュノーケリング、それが楽しいと思たらパナリのシュノーケリングに行く」のがいいいと思います。
船はそれほど大きないので、風が吹いたら揺れるものですが、酔い止めを事前に飲んでいくと、乗り物にそんなに強くない家族も全く酔いませんでした。
八重山の海を堪能できる「パナリ半日シュノーケリング」とても楽しくおすすめです。
ありがとうございました。

